View the City’s Statutory Notices as required under the Community Charter and other Acts, including permissive tax exemptions, local service areas, alternative approval process, provision of assistance, property sales, development notices and more.

  • Feb 01, 2024

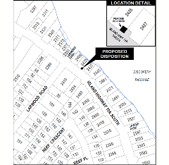
    NOTICE OF PROPERTY SALE - District Lot 218, Comox District Shown on Plan EPP129923

    EPP12923The City intends to sell the part of District Lot 218, Comox District Shown on Plan EPP129923 and marked on the map as Proposed Disposition.

    The land is to be acquired by William and Karen Stewart for consolidation with their adjacent property.

    The City intends to sell the property for $11,500.00 plus costs.

    Click the map to view a larger version.

Featured

NOTICE OF PROPERTY SALE - District Lot 218, Comox District Shown on Plan EPP129923

by Tanya Gunn | Feb 01, 2024

EPP12923The City intends to sell the part of District Lot 218, Comox District Shown on Plan EPP129923 and marked on the map as Proposed Disposition.

The land is to be acquired by William and Karen Stewart for consolidation with their adjacent property.

The City intends to sell the property for $11,500.00 plus costs.

Click the map to view a larger version.

Upcoming Events